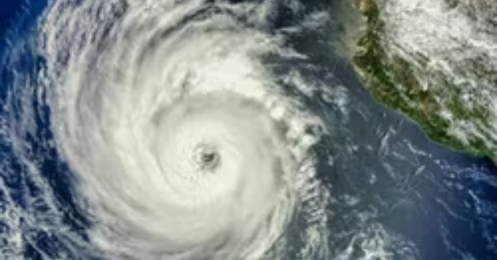
Ngày 29/9, bão nhiệt đới Imelda với sức gió 110 km/h đổ bộ Bắc Caribe, khiến Bahamas phải đóng cửa trường học, hủy hàng loạt chuyến bay và gây mưa lớn. Tại Cuba, ít nhất 2 người thiệt mạng do lũ lụt và sạt lở. Cùng lúc, bão Humberto suy yếu nhưng vẫn xoáy ngoài khơi, tạo hiện tượng hiếm gặp khi hai cơn bão xoay quanh nhau trên Đại Tây Dương.
- Hai bố con tử vong nghi ngạt khí từ máy phát điện ở Nghệ An
- Vì sao Bộ GD-ĐT khẳng định đình chỉ học chỉ làm đứt gãy quá trình giáo dục
- Bão số 10 gây thiệt hại lớn: 48 người chết và mất tích, hàng nghìn ngôi nhà hư hỏng
Tóm tắt nội dung
Bão Imelda quét qua Caribe, Bahamas đóng cửa trường học
Ngày 29/9, bão nhiệt đới Imelda trút mưa lớn xuống vùng biển Bắc Caribe, buộc chính quyền Bahamas phải đóng cửa hầu hết trường học. Các chuyến bay đến và đi từ đảo quốc này đều bị hủy để đảm bảo an toàn.
Theo Trung tâm Bão quốc gia Mỹ (NHC) tại Miami, Imelda có sức gió tối đa 110 km/h, di chuyển theo hướng Đông Bắc với vận tốc 11 km/h. Các nhà dự báo cảnh báo cơn bão có khả năng mạnh lên thành siêu bão vào sáng 30/9 (giờ địa phương) khi tiến ra vùng biển khơi.
Cuba ghi nhận thương vong và thiệt hại nặng nề
Tại Cuba, Thủ tướng Manuel Marrero tối 29/9 thông tin, ít nhất 2 người dân đã thiệt mạng do ảnh hưởng từ bão Imelda.
Theo báo Granma, tại tỉnh Santiago de Cuba, lũ lụt và sạt lở đất đã cô lập 17 cộng đồng, nơi có hơn 24.000 người sinh sống. Tại tỉnh Guantánamo, nhiều khu vực bị nước lũ chia cắt, gây khó khăn cho công tác cứu trợ và di dời người dân.
Trong khi đó, bão Humberto – dù đã suy yếu xuống cấp 2 trong ngày 30/9 – vẫn duy trì sức gió tối đa 155 km/h. Cơn bão tiếp tục xoáy trên vùng biển khơi và được dự báo sẽ tác động trực tiếp đến đường đi của Imelda.
Hiện tượng hiếm gặp Fujiwhara trên Đại Tây Dương
Các chuyên gia cho biết, sự xuất hiện của Humberto khiến Imelda đột ngột chuyển hướng sang Đông – Đông Bắc, tránh xa bờ biển Đông Nam nước Mỹ, qua đó giảm nguy cơ ảnh hưởng trực tiếp đến khu vực này.
Ông Alex DaSilva, chuyên gia hàng đầu về bão của công ty AccuWeather (Mỹ), cho biết sự tương tác giữa hai cơn bão Imelda và Humberto đã tạo ra hiện tượng Fujiwhara – khi hai xoáy thuận nhiệt đới tiến gần nhau và bắt đầu xoay ngược chiều kim đồng hồ quanh một điểm chung.
Đây là hiện tượng hiếm gặp trên Đại Tây Dương, thường chỉ quan sát thấy ở những khu vực có mật độ bão dày đặc. Sự kiện này đang được giới khí tượng đặc biệt theo dõi để dự báo chính xác hơn diễn biến trong những ngày tới.
Theo: Tin tức